南区出仲間2丁目3-12 新築戸建 A号棟
販売価格
3,790万円
3,790万円
間取り
4LDK
建物構造
木造2階建
4LDK
建物構造
木造2階建
土地面積
151.27㎡
(約45.75坪)
建物面積
94.19㎡
(約28.49坪)
151.27㎡
(約45.75坪)
建物面積
94.19㎡
(約28.49坪)
小学校
田迎小学校735m
中学校
託麻中学校702m
田迎小学校735m
中学校
託麻中学校702m
駅
南熊本駅 徒歩25分
バス停
出仲間バス停 徒歩4分
南熊本駅 徒歩25分
バス停
出仲間バス停 徒歩4分
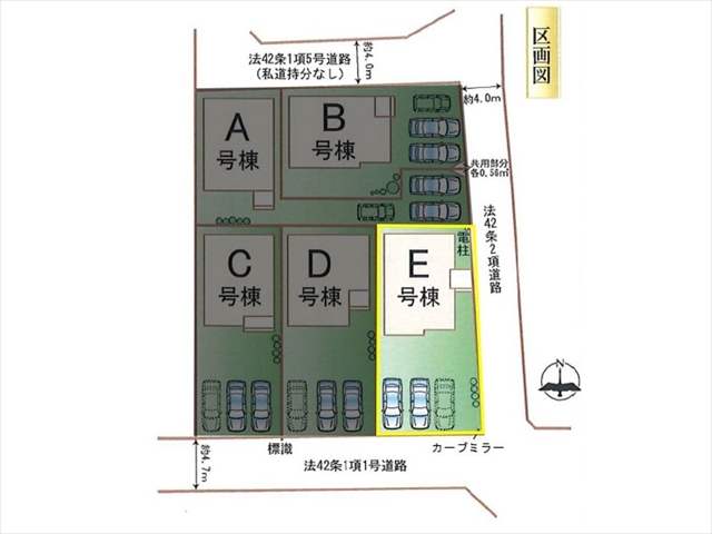
接道
東側 4.0m公道
間口 5.0m
東側 4.0m公道
間口 5.0m
駐車場
並列2台
(縦列で軽自動車も駐車可能)
並列2台
(縦列で軽自動車も駐車可能)
【設備】
都市ガス、TVモニター付きインターフォン、浴室乾燥機、洗浄便座、床下収納、24時間換気、人感センサー、シャンプードレッサー、玄関収納、浄水器付きキッチン
都市ガス、TVモニター付きインターフォン、浴室乾燥機、洗浄便座、床下収納、24時間換気、人感センサー、シャンプードレッサー、玄関収納、浄水器付きキッチン
土地権利
所有権
地目
宅地
所有権
地目
宅地
都市計画
市街化区域
用途地域
第2種中高層住居専用地域
市街化区域
用途地域
第2種中高層住居専用地域
建ぺい率
60%
容積率
200%
60%
容積率
200%
築年月
2026年4月完成予定
建築確認番号
第HPA-26-00182-1号
2026年4月完成予定
建築確認番号
第HPA-26-00182-1号
現況
未完成
引渡し
2026年4月完成予定
未完成
引渡し
2026年4月完成予定
取引態様
仲介
仲介
MAP・周辺地図
当物件の特徴
-
【I.D.S工法】壁・床材のパネル化や工場でのプレカット、モジュール・プランの標準化を図るなど、様々な工夫を施すことで建築工程を合理化し、シンプルな構造で高い強度と耐久性・断熱性を実現する工法です。
-
【オリジナル耐力壁】日本で初めて国土交通大臣認定を取得。国が定める最高強度である「壁倍率5.0」の性能があると認められています。地震や風の揺れにも強い、飯田産業のオリジナル耐力壁です。
-
【TロックII】柱固定金物のなかでも非常に高い性能を持つ「ホールダウン金物(HD20)」の約2倍の強度があり、短期基準接合耐力40.3kNの評価を受けています。台風などの強風に耐えられる耐久性を保ちます。
-
【長期優良住宅】住宅ローン控除の優遇、各種税金の軽減、住宅ローン金利の引き下げ優遇、地震保険料の割引などがあります。
-
【住宅性能表示制度】「耐震性」や「維持管理性能」など6項目において最高等級の評価を獲得しております。
-
※他3棟のご紹介も可能です。(C号棟はお申込み有りです。)同じハウスメーカーの完成現場のご案内も可能です♪
区画図・間取図・現地写真
A号棟
完成予想パース(左:A号棟 右:B号棟)
A号棟
A号棟
B号棟
B号棟
B号棟
B号棟
区画図・間取図・現地写真
C号棟
C号棟
C号棟
C号棟
D号棟
D号棟
D号棟
D号棟
区画図・間取図・現地写真・接道
E号棟
完成予想パース(左:C号棟 中:D号棟 右:E号棟)
E号棟
E号棟
東側道路
東側道路
南側道路
南側道路
内観イメージ図